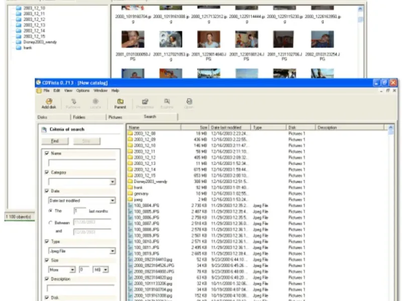
CDVista is a free and user-friendly program designed to help you effortlessly catalog all your photos. With CDVista, you can generate a comprehensive catalog featuring miniatures of your photos, making it easy to locate them on the correct CD, DVD, or hard drive. Using CDVista is simple: just insert the CD containing your photos or select the folder where they are stored. The program will automatically create a miniature of each photo and record the storage location. Whenever you need to find a specific photo, just open CDVista, browse through the miniatures, and click on the desired photo to see where it is stored. This efficient process saves you a lot of time and hassle when searching for your photos. Experience the convenience of having your photo collection organized and easily accessible with CDVista.


Vitya Timokhin
Totally obsessed with CDVista! The way it organizes my CDs is a work of art. I spent the whole weekend cataloging my collection, it’s so satisfying. Can’t believe I ever lived without it! Every music lover needs this!
Mariya Gladysheva
OMG, CDVista is a total game changer! I've never been this organized in my life. The interface is so slick, It’s like a dream come true! I can finally find all my old CDs and discover new music easily. I feel like a collector again! So happy with this app!
Nadezhda Kurilina
I can’t express how much I love CDVista! It's like being in a candy store for music lovers! The features are fantastic, I’ve rediscovered so many lost tracks. This app fills my heart with joy. Sooo worth it!